Японии снова угрожает тайфун
- Автор
- Дата публикации
- Автор
Главный аэропорт южной японской префектуры Окинава отменил все рейсы из-за приближения тайфуна "Санба"
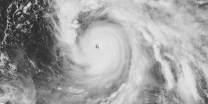
Центральный аэропорт японского города Наха ( административный центр южной японской префектуры Окинава) отменил сегодня все рейсы в связи с приближением к островам тайфуна "Санба". Об этом сегодня сообщили в администрации префектуры. Также было временно прекращено паромное сообщение между Окинавой и основным японским островом Хонсю.
По прогнозам национального метеорологического агентства страны, тайфун в воскресенье утром обрушится на южные японские острова. Сейчас он приближается к ним со скоростью 20 км в час. Агентство предупреждает о возможных ливнях и порывах ветра до 75 метров в секунду. Уровень осадков может достигнуть 400 мм.
Жителям Окинавы рекомендуют не выходить в воскресенье из дома без крайней необходимости. На Японию в этом году уже обрушились несколько мощных тайфунов, последний из них - тайфун "Болавен". Из-за него на юге страны без электричества остались почти 20 тысяч домов.