Тайфун "Хайян" может оставить без крыши над головой 12 млн человек
- Автор
- Дата публикации
- Автор
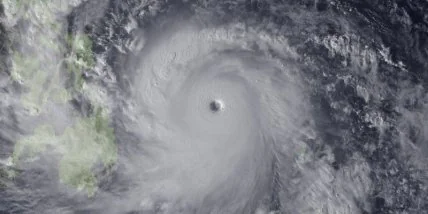
Супертайфун "Хайян" может заставить 12 млн человек покинуть свои дома.
Жертвами тайфуна Хайян на Филиппинах стали уже не менее 3-х человек. Из зоны бедствия уже эвакуировано около 1 млн человек. "О возможной эвакуации предупреждены более 12 млн человек в 22 провинциях, в том числе жители крупного города Себу на юге Филиппин", - отмечает издание.
Приказ о подготовке к эвакуации дал президент страны Бенигно Акино. В повышенную готовность приведены спасатели и армия Филиппин. В зоне циклона высота морских волн превышает 6 метров. Сообщается, что "Изольда" (это еще одно название тайфуна "Хайян"), пройдет почти над всеми филиппинскими островами. Основной удар стихии пришелся по островам Самар и Лейте.
На Филиппинах парализовано авиасообщение и заблокировано движение по ряду автомобильных магистралей и железнодорожных веток. Ожидается, что тайфун войдет в Южно-Китайское море в течение ближайших 2-х дней. Это приведет к увеличению высоты волн до 10 метров.
Как сообщалось, тайфун "Хайян" стал самым сильным в мире в 2013 году и может побить рекорд 1969 и 1980 годов по скорости ветра. Максимальная скорость ветра в центре шторма составляет 314 километров в час. Тайфун будет бушевать над Филиппинами еще 2 дня - 8 и 9 ноября. Потом он направится в сторону Вьетнама и Лаоса. В Китае в связи с его приближением уже объявлен "желтый" уровень опасности. Сообщается, что это 30-й и самый сильный тайфун, который обрушится в этом году на Китай.