Мощный ураган "Дориан" приближается к Канаде
- Автор
- Дата публикации
- Автор
Канада готовится ко встрече с ураганом Дориан.
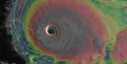
Мощный ураган "Дориан", вызвавший разрушительные последствия в районе Багамских островов, на выходные приблизится к атлантическому побережью Канады.
Об этом сообщают в Центре ураганов Канады.
"Основываясь на актуальном прогнозе, наиболее вероятный маршрут движения урагана "Дориан" в субботу будет пролегать южнее атлантических провинций, а под конец дня - восточнее Новой Шотландии, к утру воскресенья достигнув восточной части Ньюфаундленда", - отмечают синоптики.
Центр ураганов Канады предупреждает о "значительном влиянии" мощных ветров, а также угрозу штормов, с высотой волн более 12 метров. "Влияние ветра, вероятно, будет усилено лиственным покровом деревьев, увеличив возможность их повреждения и падения, а также потенциально обусловив перебои в подаче электроэнергии", - говорится в сообщении на сайте Центра.
Американские астронавты показали ураган "Дориан" из космоса (Фото)Кроме этого, синоптики прогнозируют значительные осадки, которые достигнут отметки в 50 мм, а местами - 100 мм, что может вызвать выход водоемов из берегов и паводки.